New Search Family, Subfamily and Tribe List

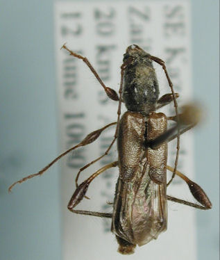
SubFamily Cerambycinae

Tribe Molorchini
Molorchus pallidipennis (Heyden, 1887)

Photographer: Denis Kasatkin
Collection Location: Kazakhstan
41592


Photographer: Larry G. Bezark
41593

130425