New Search Family, Subfamily and Tribe List

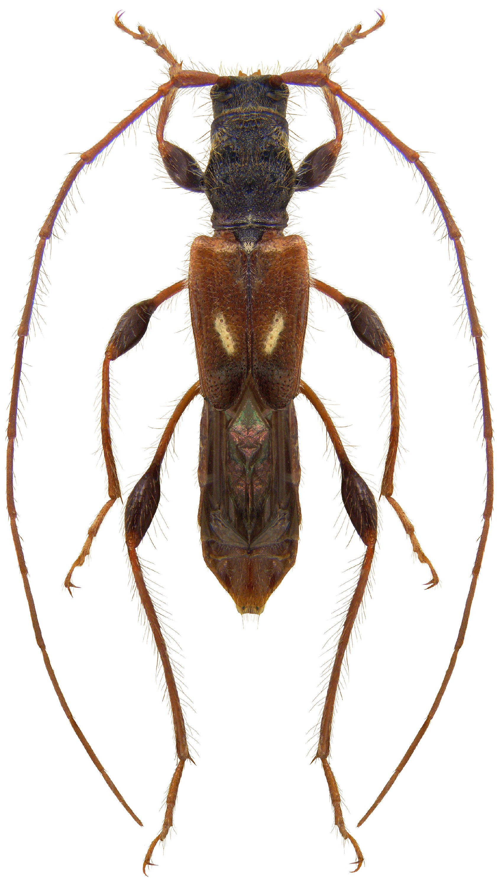
SubFamily Cerambycinae

Tribe Molorchini
Molorchus minor minor (Linnaeus, 1758)

Sex: m
Photographer: Udo Schmidt
79780


Institution: CAS California Academy of Sciences, San Francisco, CA, USA
Photographer: Larry G. Bezark
41588


Photographer: Denis Kasatkin
Collection Location: Karachaevo-Cherkessia
41587

130425