New Search Family, Subfamily and Tribe List

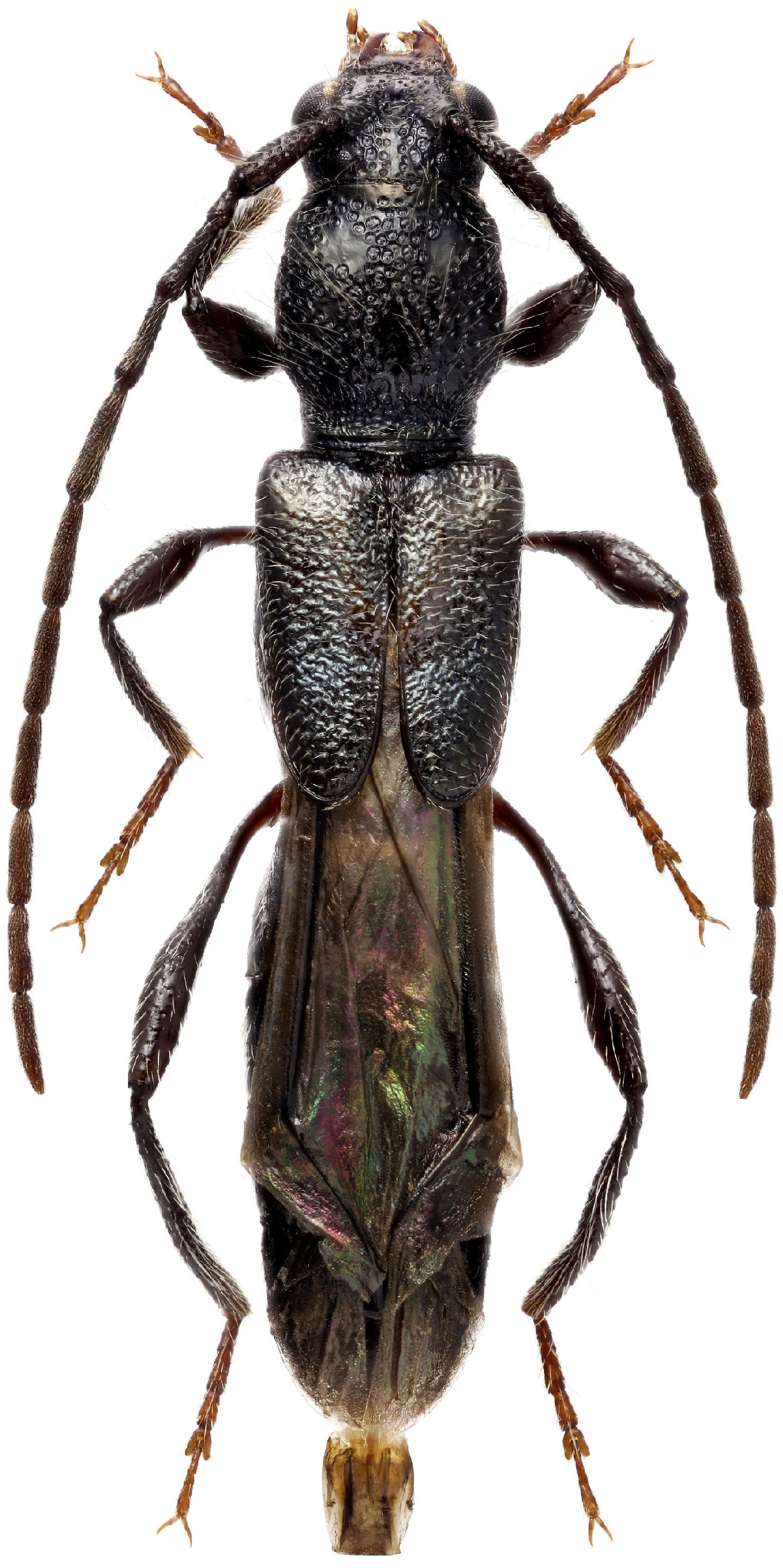
SubFamily Cerambycinae

Tribe Molorchini
Molorchus starki Shabliovsky 1936

Photographer: Kirill V. Makarov
Collection Location: Listvennichnaya river, Borisovskoye plateau, Primorsky krai, Russia
41598


Determiner: Bulletin of the Japanese Society of Coleopterology
Collection Location: Taiwan
41599

130425