New Search Family, Subfamily and Tribe List

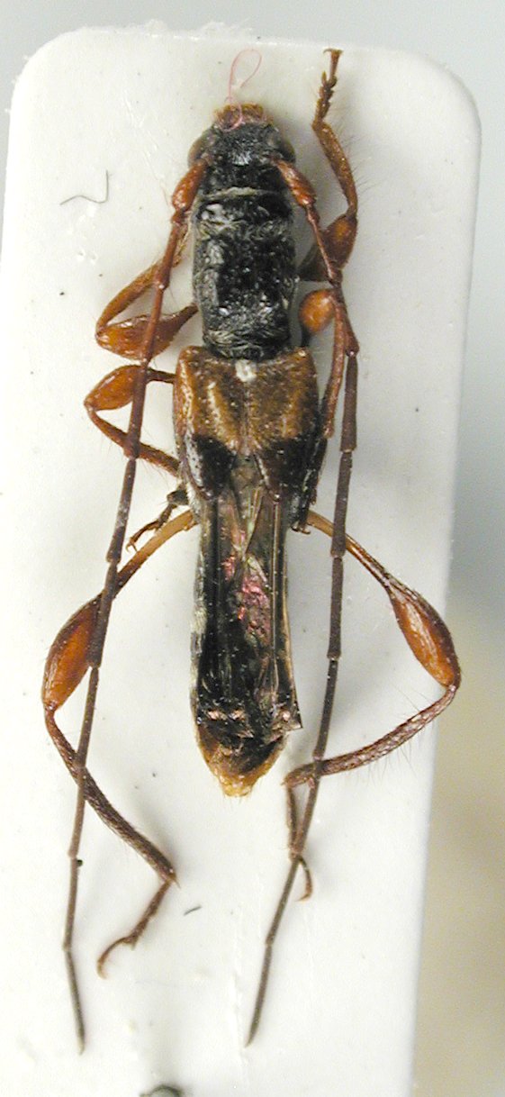
SubFamily Cerambycinae

Tribe Molorchini
Molorchus shimai Hayashi & Makihara 1981

Institution: JCPC Jim Cope Collection, San Jose, California, USA now at CSCA, Sacramento
Photographer: Larry G. Bezark
Determiner: Carolus Holzschuh
Collection Location: Ulleri S. Ghorpani, Annapurna, Nepal
99134

130425