_Stiller_=_Molorchus_schmidti_(Gahan)_Lambillionea.jpg)
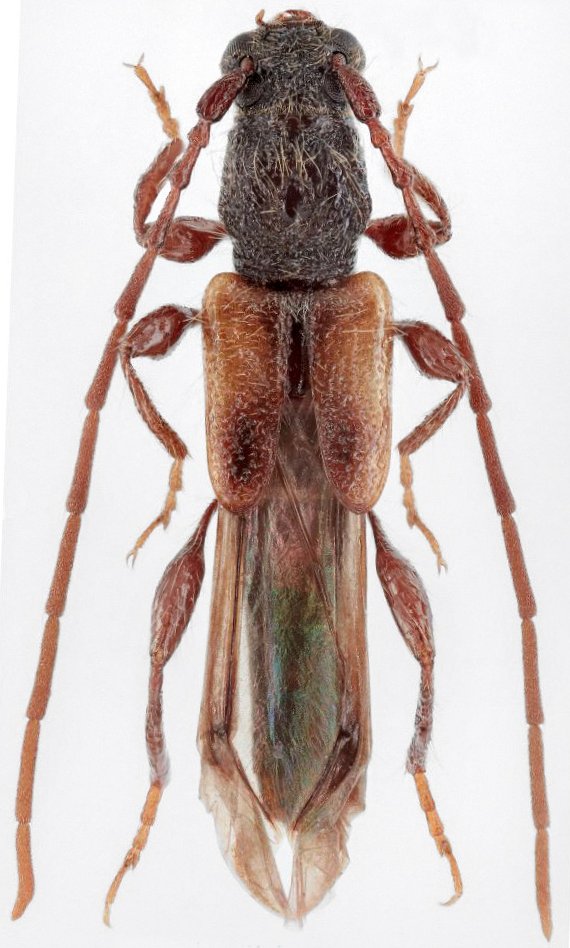
Caenoptera salicicola Stiller Specimen Type: lectotype Sex: m Institution: MTMB Magyar Természettudományi Műzeum, Budapest, Hungary Collection Location: Ujszegzd, Csongrád, Hungary 41550
|
 Mako, Hungary Boza Sedlacek.jpg)
Photographer: Boza & Sedlacek Collection Location: Mako, Hungary 75904
|

Photographer: Denis Kasatkin Collection Location: Egorlyskaya, Rostov Region, Russia 41600
|
 Gangl vic Sherali, Kara-Suu District, Osh Region, Kyrgyzstan Nav Hokso2.jpg)
Sex: mf Photographer: Navratil & Hoskovec Collection Location: vic Sherali, Kara-Suu District, Osh Region, Kyrgyzstan 79781
|
|