_Holz_Coll_now_Molorch.jpg)
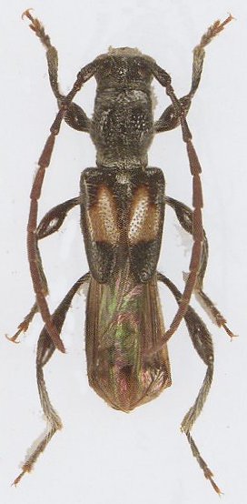
Glaphyra lecta Holzschuh Specimen Type: holotype Sex: m Institution: Holzschuh Collection Photographer: Lubo Dembický Collection Location: Qinling Shan, Xunyangba, Shaanxi, China 73371
|
_Holzschuh_China_Shaanxi_Prov_Qinling_Shan_Xunyangba.jpg)
Specimen Type: holotype Sex: m Institution: Holzschuh Collection Determiner: Schrift. Forstlichen Bundesversuchsanstalt Collection Location: Qinling Shan, Xunyangba, Shaanxi, China 41562
|