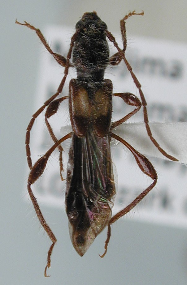
_Ohbayashi_Kurile_Islands_Kasatkin.jpg)
Sex: m Photographer: Denis Kasatkin Collection Location: Kurile Islands, Russia 41581
|

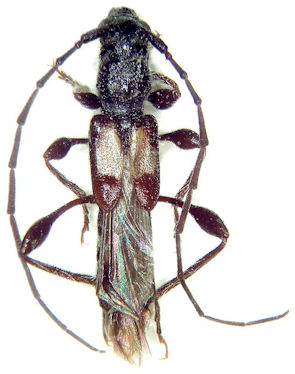
Institution: LGBC Larry G. Bezark Collection, Sacramento, California, USA Photographer: Larry G. Bezark Collection Location: Miyajima Island, Hiroshima Prefecture, Japan 76444
|
 Ohbay Listvennichnaya river, Borisovskoye plateau, Primorsky krai, Russian Far East Makarov.jpg)
Sex: mf Photographer: Kirill V. Makarov Collection Location: Listvennichnaya river, Borisovskoye plateau, Primorsky krai, Russia 79776
|
|