_Holz_Coll_now_Molorch.jpg)
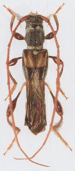
Glaphyra gilvitarsis Holzschuh Specimen Type: holotype Sex: m Institution: Holzschuh Collection Photographer: Lubo Dembický Collection Location: 12 km SW Xunyangba, Qinling_Shan, Shaanxi, China 73370
|
_Holzschuh_C_China_Shaanxi_Qinling_Shan_12km_SW_Xunyangba.jpg)
Specimen Type: holotype Sex: m Institution: Holzschuh Collection Determiner: Schrift. Forstlichen Bundesversuchsanstalt Collection Location: 12 km SW Xunyangba, Qinling_Shan, Shaanxi, China 41510
|