_Sama_Cyprus.jpg)
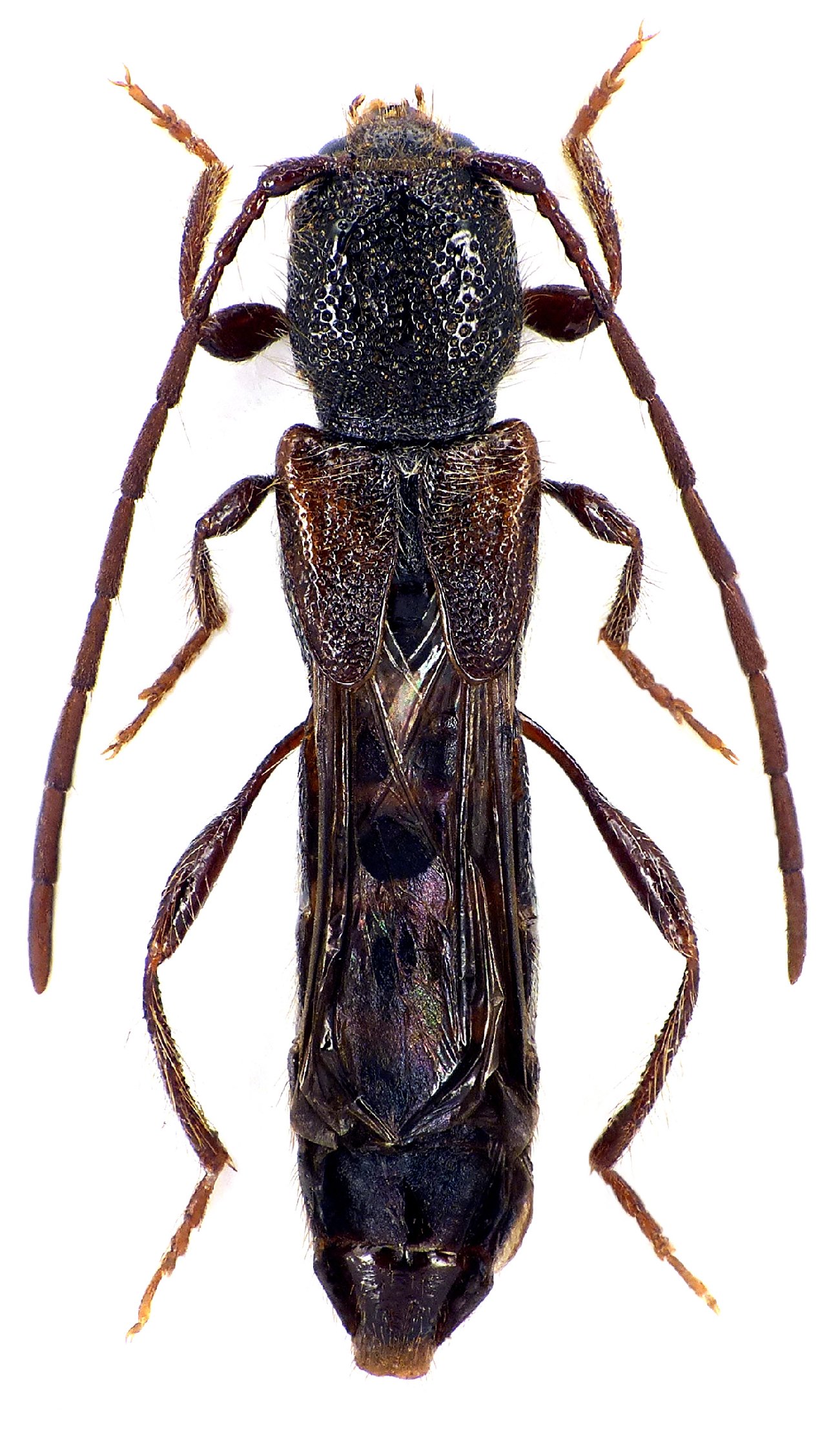
Specimen Type: holotype Sex: m Institution: Sama Collection Determiner: Lambillionea Collection Location: Cedar Valley, Nicosia, Cyprus 41493
|
 Cedar Valley, vic Pafos, Troodos Mountains, Cyprus Nav Hosko.jpg)
Photographer: Navratil & Hoskovec Collection Location: Cedar Valley, vic Pafos, Troodos Mountains, Cyprus 79775
|