 Chevrolat BMNH vic Caracas, Venezuela now Coty Moure.jpg)
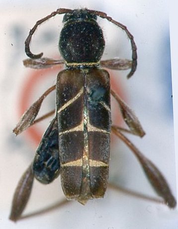
Neoclytus basalis Chevrolat Specimen Type: syntype Institution: BMNH British Museum Natural History, London, UK Photographer: JS Moure Collection Location: vic Caracas, Venezuela 17456
|
_Chevrolat_MNHN_FTH_NO_syn_at_BMNH.jpg)
Institution: MNHN Museum of Natural History Paris, France Collection Location: maybe syntype 17455
|