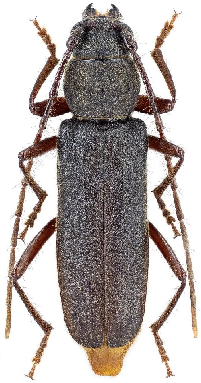
 Fabr vic Hasan Langi-ye Bala NH.jpg)
Sex: m Photographer: Navratil & Hoskovec Collection Location: vic Hasan Langi-ye Bala, Takht dist, Hormozgan Province, Iran 80240
|
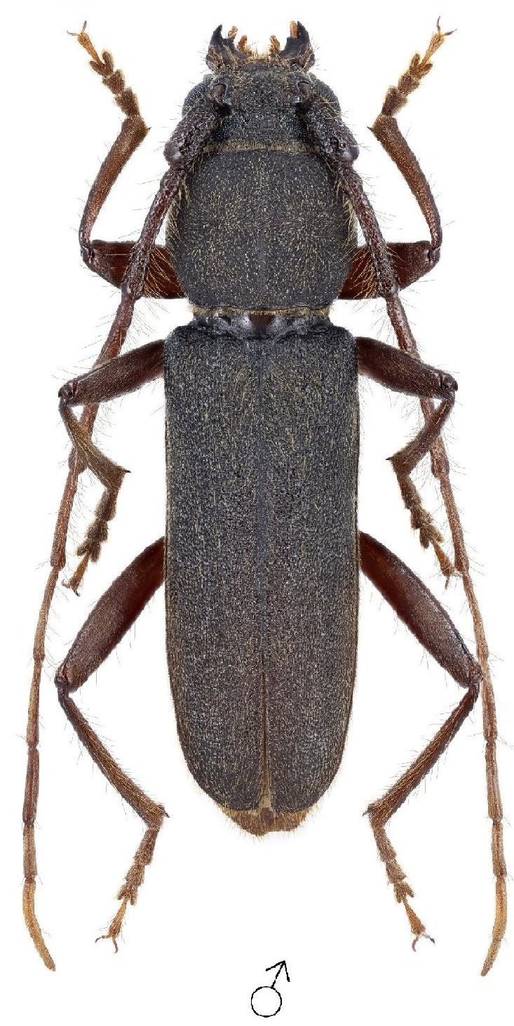
 Fabr 30 kmN Bandar-e Abbas, both Takht dist, Hormozgan Priv, Iran Nav Hosko.jpg)
Sex: f Photographer: Navratil & Hoskovec Collection Location: 30 kmN Bandar-e Abbas,Takht dist, Hormozgan Province, Iran 80241
|