 Tippmann MLZU Skoorsteenkop, Hout Bay, Cape Province, South Africa.jpg)
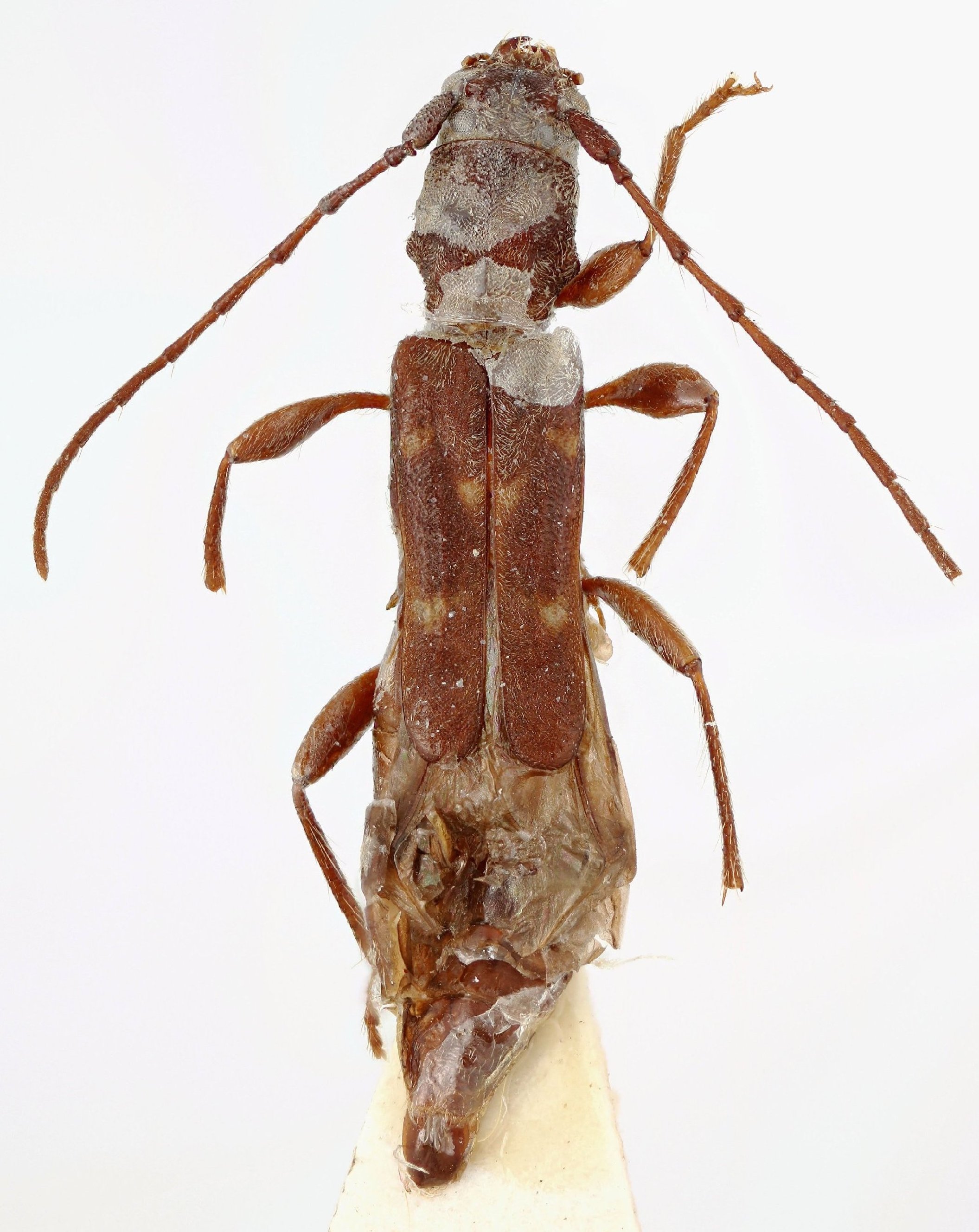
Specimen Type: holotype Sex: f Institution: MZLU Biological Museum Lund University, Lund, Sweden Collection Location: Skoorsteenkop, Hout Bay, Cape Province, South Africa 96733
|
 Tippmann MLZU Skoorsteenkop, Hout Bay, Cape Province, South Africa.jpg)
Specimen Type: holotype Sex: f Institution: MZLU Biological Museum Lund University, Lund, Sweden Collection Location: Skoorsteenkop, Hout Bay, Cape Province, South Africa 96734
|
 Tippmann MLZU Skoorsteenkop, Hout Bay, Cape Province, South Africa.jpg)
Specimen Type: holotype Sex: f Institution: MZLU Biological Museum Lund University, Lund, Sweden Collection Location: Skoorsteenkop, Hout Bay, Cape Province, South Africa 96735
|
|