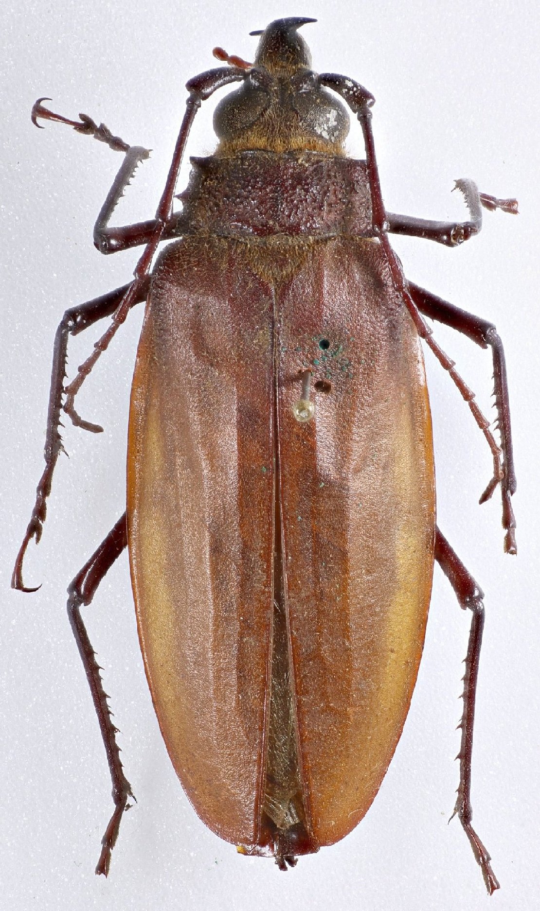
 (White) BMNH Venezuela KM.jpg)
Aulacocerus mundus White Specimen Type: holotype Sex: m Institution: BMNH British Museum Natural History, London, UK Photographer: Keita Matsumoto Collection Location: Venezuela 79644
|
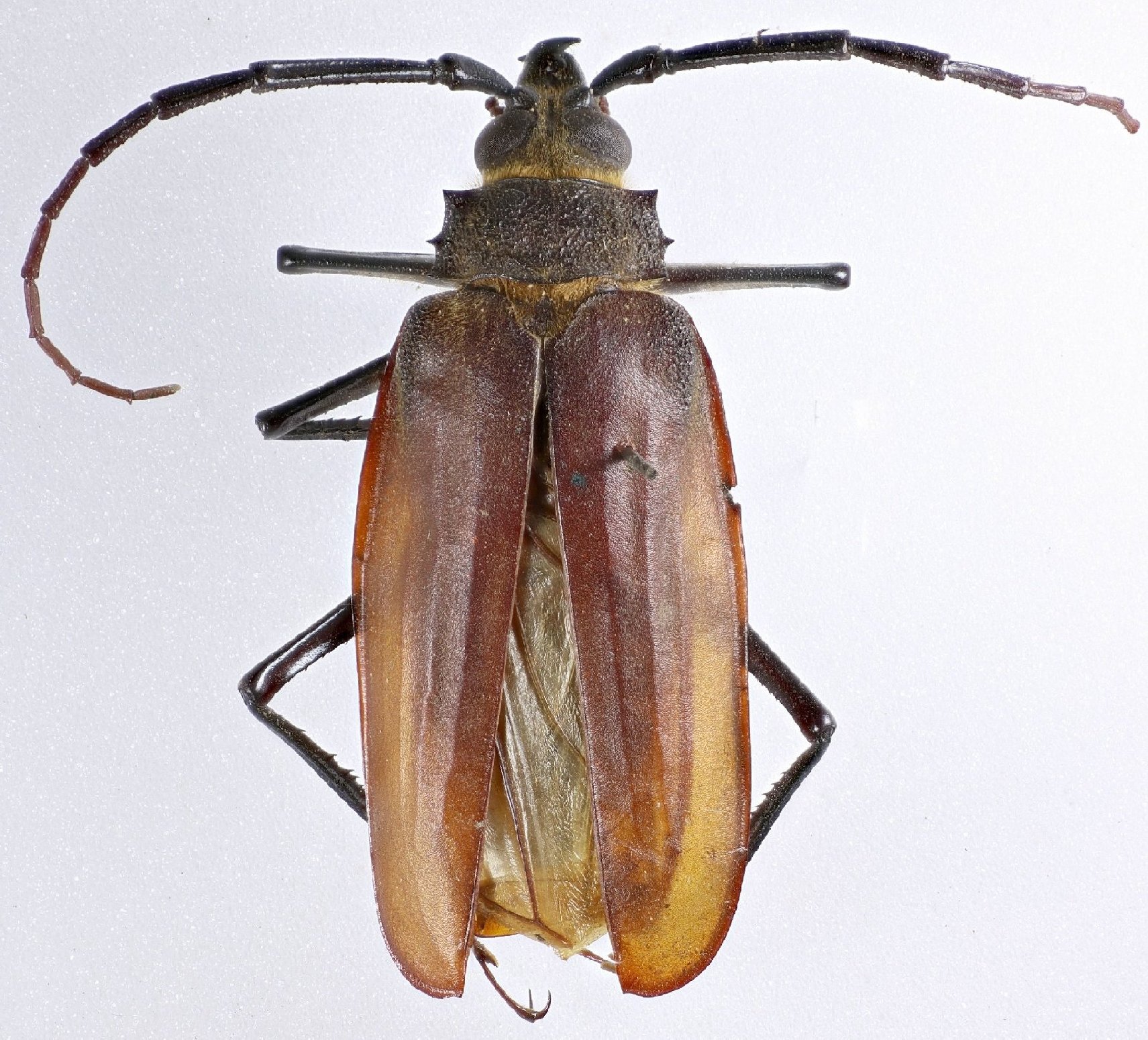
 BMNH KM.jpg)
Aulacocerus mundus White Specimen Type: holotype Sex: m Institution: BMNH British Museum Natural History, London, UK Photographer: Keita Matsumoto Collection Location: Venezuela 79645
|
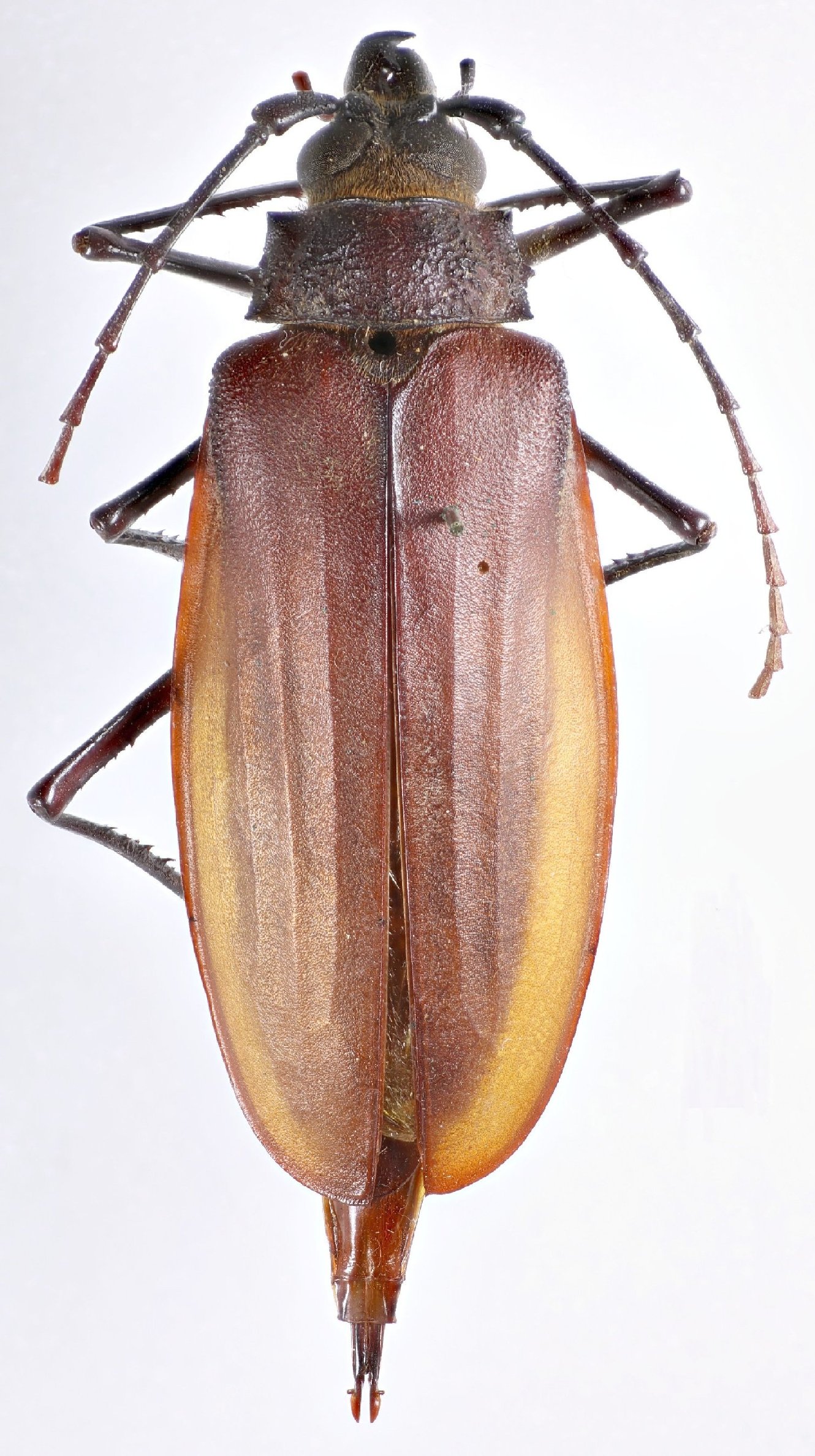
 BMNH Venezuela KM.jpg)
Sex: m Institution: BMNH British Museum Natural History, London, UK Photographer: Keita Matsumoto 79646
|
 BMNH Brazil KM.jpg)
Sex: m Institution: BMNH British Museum Natural History, London, UK Photographer: Keita Matsumoto 79647
|
 (White) BMNH Venezuela KM.jpg)
Sex: f Institution: BMNH British Museum Natural History, London, UK Photographer: Keita Matsumoto 79648
|
 (White) BMNH Venezuela KM.jpg)
Sex: f Institution: BMNH British Museum Natural History, London, UK Photographer: Keita Matsumoto 79649
|
_(White)_NP_Lord.jpg)
Sex: m Photographer: Nathan P. Lord 42043
|

Institution: IRSNB Royal Belgian Institute of Natural Sciences, Brussels, Belgium Photographer: Noel Mal Collection Location: Colombia 39282
|