New Search Family, Subfamily and Tribe List

SubFamily Cerambycinae

Tribe Cerambycini
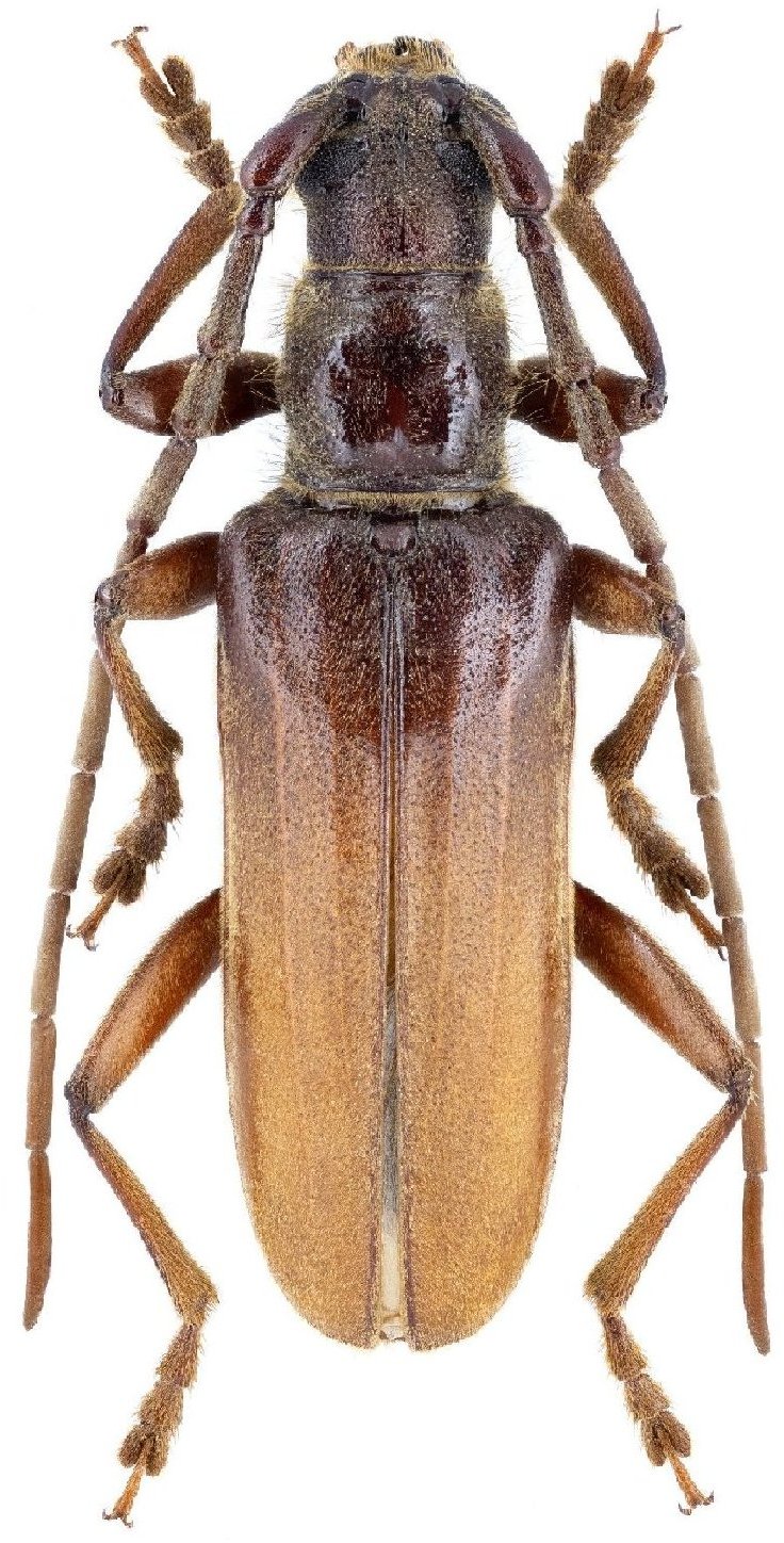
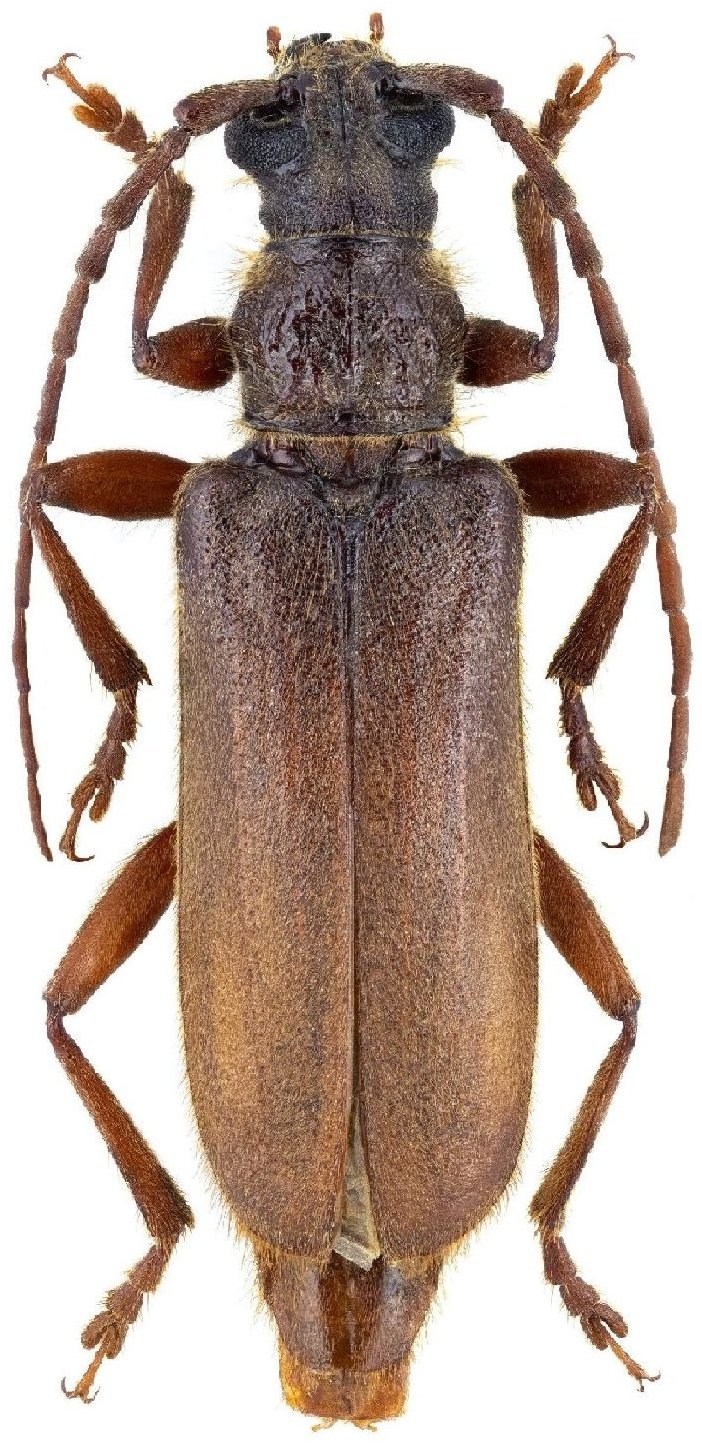
Jebusaea hammerschmidti Reiche 1878

Sex: m
Photographer: David Navratil
Collection Location: Langi-ye Bala, Takht Dist, Hormozgan Prov, Iran
79687


Sex: f
Photographer: David Navratil
Collection Location: 35 km S Minab Co, Hormozgan Prov, Iran
79688


Determiner: Fauna of Saudi Arabia
51369

130425