
Institution: TARI Taiwan Agriculture Research Institute, Taichung Collection Location: Tansa Maharashtra, Thane, India 48279
|
_Gahan_Tansa_Maharashtra_Thane_India_TARI.jpg)
Institution: TARI Taiwan Agriculture Research Institute, Taichung Collection Location: Tansa Maharashtra, Thane, India 48280
|
_Gahan_Tansa_Maharashtra_Thane_India_TARI.jpg)
Institution: TARI Taiwan Agriculture Research Institute, Taichung Collection Location: Tansa Maharashtra, Thane, India 48281
|
_Gahan_Tansa_Maharashtra_Thane_India_TARI.jpg)
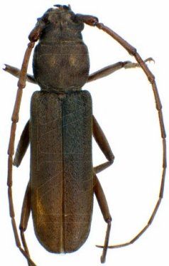
Institution: TARI Taiwan Agriculture Research Institute, Taichung Collection Location: Tansa Maharashtra, Thane, India 48282
|
_Gahan_Tansa_Maharashtra_Thane_India_TARI.jpg)
Institution: TARI Taiwan Agriculture Research Institute, Taichung Collection Location: Tansa Maharashtra, Thane, India 48283
|
_Gahan_Makihara_Sri_Lanka.jpg)
Sex: mf Photographer: Makihara Collection Location: Sri Lanka 48284
|
|