_Guo_Chen_SAUC_Yongping_Yunnan_China_Li_Chen_pic.jpg)
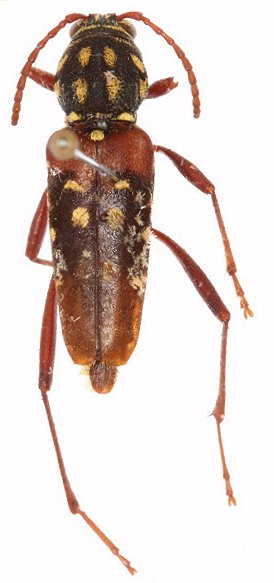
Specimen Type: holotype Sex: f Institution: SAUC Insect Collection of the Southwest Agricultural University, Chongqing, China Photographer: Li Chen Collection Location: Yongping, Yunnan Province, China 70751
|
_Guo_Chen_SAUC_Yongping_Yunnan_China_Li_Chen_pic.jpg)
Specimen Type: holotype Sex: f Institution: SAUC Insect Collection of the Southwest Agricultural University, Chongqing, China Photographer: Li Chen Collection Location: Yongping, Yunnan Province, China 70752
|