New Search Family, Subfamily and Tribe List

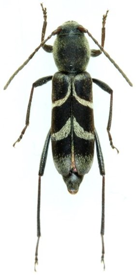
SubFamily Cerambycinae

Tribe Clytini
Xylotrechus lautus lautus (Matsushita, 1933)

66768


Institution: JCPC Jim Cope Collection, San Jose, California, USA now at CSCA, Sacramento
Photographer: Larry G. Bezark
Determiner: Jim Cope
Collection Location: Mt Jyoyama, Munakata Co, Fukuoka Pref, Japan
100207

130425