New Search Family, Subfamily and Tribe List

SubFamily Cerambycinae

Tribe Clytini
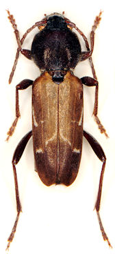
Xylotrechus hircus (Gebler, 1825)

Institution: LGBC Larry G. Bezark Collection, Sacramento, California, USA
Photographer: Larry G. Bezark
66745


Photographer: Michal Hoskovec
66746


Photographer: Denis Kasatkin
Collection Location: Tuva, Siberia
66747

130425