New Search Family, Subfamily and Tribe List

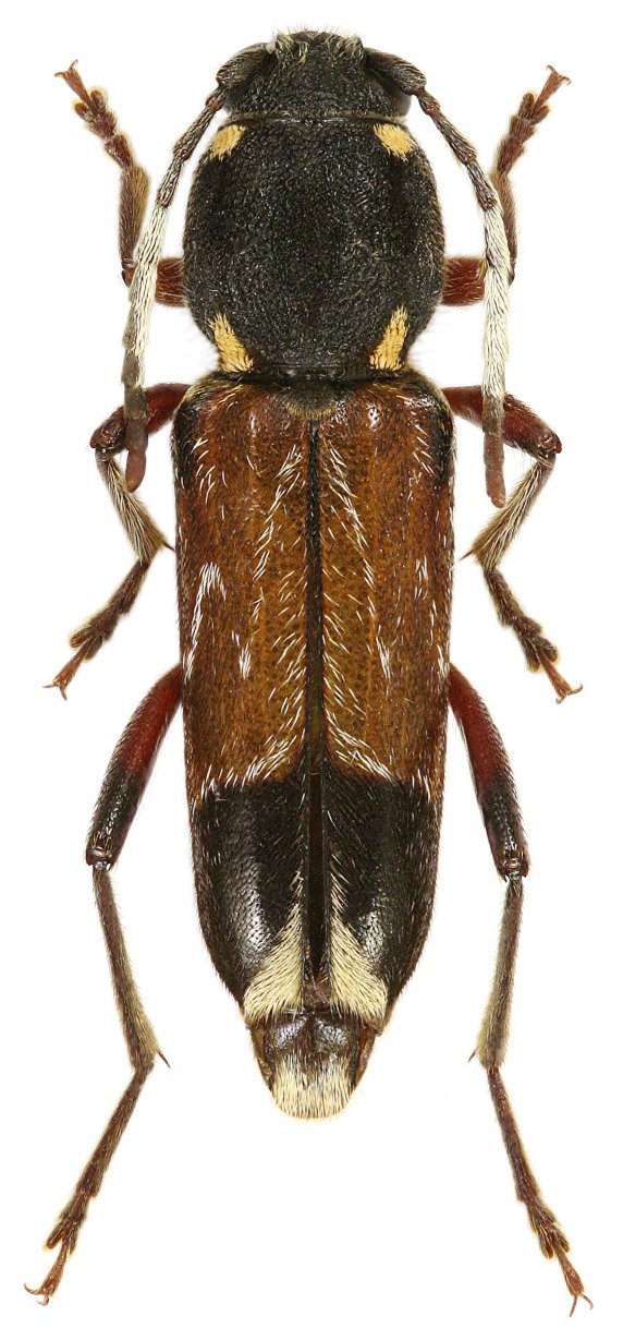
SubFamily Cerambycinae

Tribe Clytini
Xylotrechus dominulus (White, 1855)

Sex: f
Institution: Viktora Collection
Photographer: Petr Viktora
Collection Location: Beijing, China
75089


Institution: CAS California Academy of Sciences, San Francisco, CA, USA
Photographer: Larry G. Bezark
66732


Photographer: Andre Gorodinski
Collection Location: S Gansu Province, China
66731

130425