
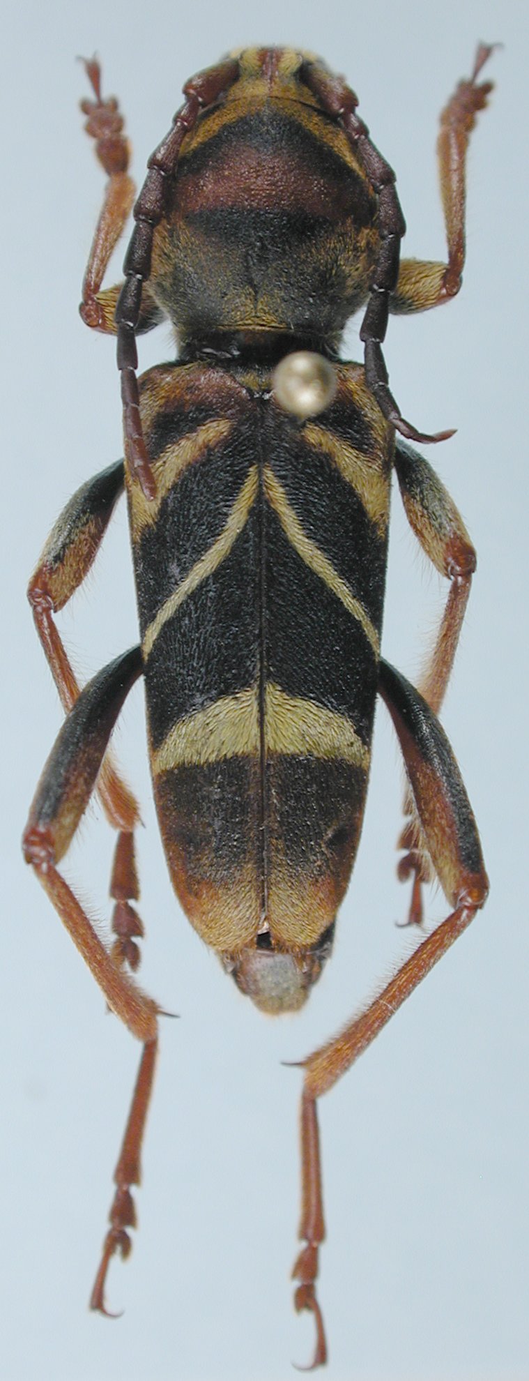
Institution: LGBC Larry G. Bezark Collection, Sacramento, California, USA Photographer: Larry G. Bezark Collection Location: Yen Bai Province, Vietnam 89789
|

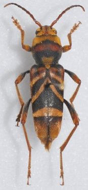
Institution: LGBC Larry G. Bezark Collection, Sacramento, California, USA Photographer: Larry G. Bezark Collection Location: Yen Bai Province, Vietnam 89790
|

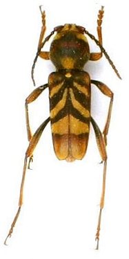
Institution: LGBC Larry G. Bezark Collection, Sacramento, California, USA Photographer: Larry G. Bezark 66704
|

Photographer: Gerard Chemin, Cerambycoidea Forum Collection Location: Vietnam 66705
|
_S_Korea_Haller.jpg)
Photographer: Pierre Haller Collection Location: South Korea 66706
|
_(Chevrolat)_Japan.jpg)
Sex: m Collection Location: Japan 66707
|
|