 Bleuzen BMNH Bartica triangle, French Guiana KM.jpg)
Specimen Type: paratype Sex: m Institution: BMNH British Museum Natural History, London, UK Photographer: Keita Matsumoto Collection Location: Bartica Triangle, French Guiana 20849
|
 Bleuzen BMNH Bartica triangle, French Guiana KM.jpg)
Specimen Type: paratype Sex: m Photographer: Keita Matsumoto Collection Location: Bartica Triangle, French Guiana 20848
|
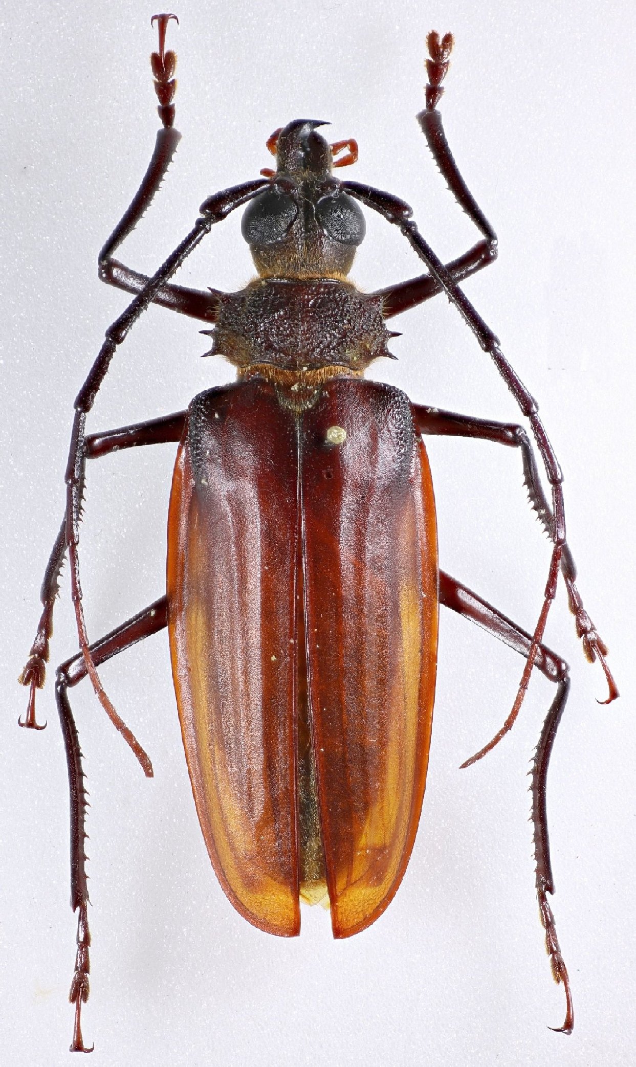
_Bleuzen_BMNH_LGB.jpg)
Specimen Type: paratype Sex: m Institution: BMNH British Museum Natural History, London, UK Photographer: Larry G. Bezark Collection Location: Bartica Triangle, French Guiana 46433
|
_Bleuzen.jpg)
Specimen Type: paratype Sex: m 33144
|
|