_SS_and_Martins_AMNH_Rio_Vermelho_Sao_Bento_do_Sul_SC_Braz.jpg)
Specimen Type: holotype Sex: f Institution: AMNH American Museum of Natural History, New York, NY, USA Photographer: Antonio Santos-Silva Collection Location: Rio Vermelho, Sao Bento do Sul, Santa Catarina, Brazil 41567
|
_SS_and_Martins_AMNH_Rio_Vermelho_Sao_Bento_do_Sul_SC_Braz.jpg)
Specimen Type: holotype Sex: f Institution: AMNH American Museum of Natural History, New York, NY, USA Photographer: Antonio Santos-Silva Collection Location: Rio Vermelho, Sao Bento do Sul, Santa Catarina, Brazil 41568
|
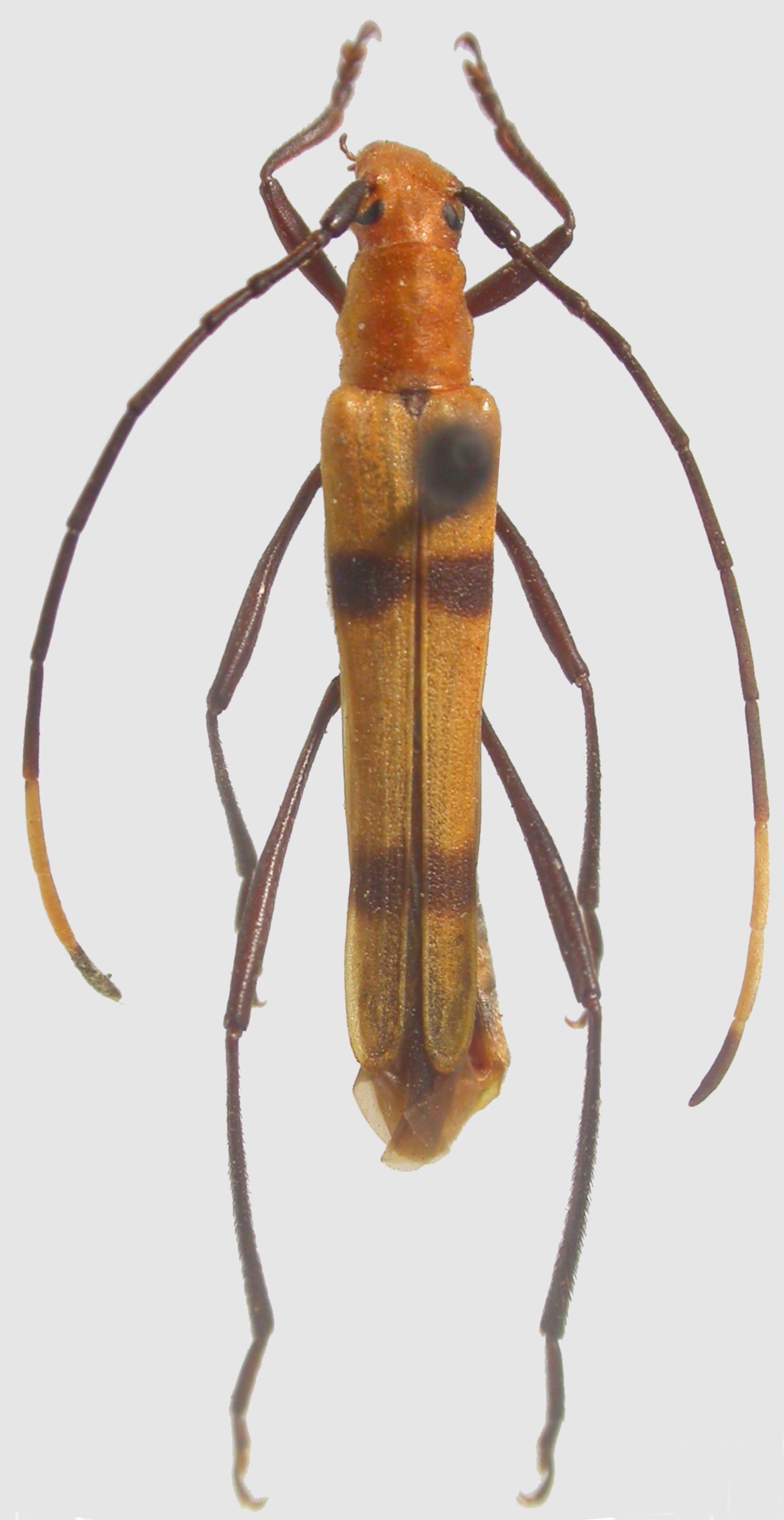
_SS_and_Martins_AMNH_Rio_Vermelho_Sao_Bento_do_Sul_SC_Braz.jpg)
Specimen Type: holotype Sex: f Institution: AMNH American Museum of Natural History, New York, NY, USA Photographer: Antonio Santos-Silva Collection Location: Rio Vermelho, Sao Bento do Sul, Santa Catarina, Brazil 41569
|
|