_Holz.jpg)
Specimen Type: holotype Sex: m Institution: Holzschuh Collection Photographer: Luboš Dembický Collection Location: Tripurakot, Karnali, Dolpo District, Nepal 60148
|
_Holzschuh_Himalaya.jpg)
Specimen Type: holotype Sex: m Institution: Holzschuh Collection Determiner: Biodiversität und Naturausstattung im Himalaya Collection Location: Tripurakot, Karnali, Dolpo District, Nepal 60149
|
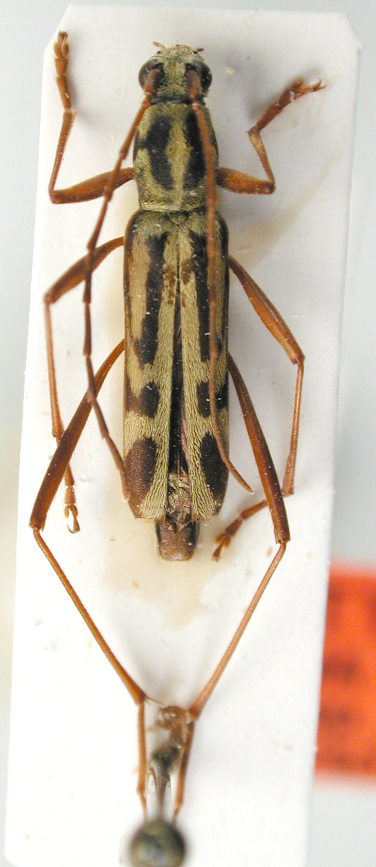
 Holzschuh Karnali, Humla. 6 km nw Simikot, Kermi, Nepal JCPC LGB.jpg)
Specimen Type: paratype Institution: JCPC Jim Cope Collection, San Jose, California, USA now at CSCA, Sacramento Photographer: Larry G. Bezark Collection Location: Karnali, Humla. 6 km nw Simikot, Kermi, Nepal 99736
|
|