_TP_STC_Tichy_pic.jpg)
Cyllene abnormis Aurivillius Specimen Type: holotype Institution: NHRS Naturhistoriska Riksmuseet, Stockholm, Sweden Photographer: Tomas Tichy Collection Location: Bolivia 51000
|
 Aurivillius NHRS Bolivia now Megacy Moure.jpg)
Cyllene abnormis Aurivillius Specimen Type: holotype Institution: NHRS Naturhistoriska Riksmuseet, Stockholm, Sweden Photographer: JS Moure Collection Location: Bolivia 100781
|
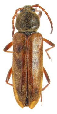
_Tippmann_MNRJ_SWL_=_Megacyllene_abnormis_(Aurivillius).jpg)
Cyllene abnormis var. montana Tippmann Specimen Type: holotype Sex: f Institution: MNRJ Museu Nacional Universidade do Rio Janeiro, Brazil Photographer: Steve Lingafelter Collection Location: Monte Ponco, Yungas Totova, Bolivia 6383
|
_MNRJ_SWL.jpg)
Institution: MNRJ Museu Nacional Universidade do Rio Janeiro, Brazil Photographer: Steve Lingafelter 9767
|
_MZSP_SS.jpg)
Institution: MZSP Museu de Zoologia da Universidade de São Paulo, Brazil Photographer: Antonio Santos-Silva 30636
|
|