_Holz.jpg)
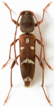
Specimen Type: holotype Sex: f Institution: Holzschuh Collection Photographer: Lubo Dembický Collection Location: Qinling Shan, Xunyangba, Shaanxi Province, China 60147
|
_Holzschuh_China_Shaanxi_Qinling_Shan_Xunyangba.jpg)
Specimen Type: holotype Sex: f Institution: Holzschuh Collection Determiner: Entomologica Basiliensa Collection Location: Qinling Shan, Xunyangba, Shaanxi Province, China 60146
|