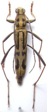
 Pic MNHN Laos XG.jpg)
Specimen Type: holotype © MNHN Institution: MNHN Museum of Natural History Paris, France Photographer: Xavier Gouverneur Collection Location: Laos 77283
|

Institution: CAS California Academy of Sciences, San Francisco, CA, USA Photographer: Larry G. Bezark 60091
|

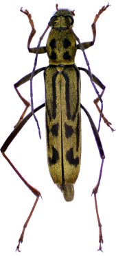
Photographer: Xavier Gouverneur, Cerambycoidea Forum Collection Location: Hua Phan, NE Laos 60092
|

Photographer: Meiying Lin 43058
|
|