_Gressitt_Rond_BPBM_Nobuo_Ohbay.jpg)
Specimen Type: holotype Sex: f Institution: BPBM Bernice P. Bishop Museum, Honolulu, Hawaii, USA Photographer: Nobuo Ohbayashi Collection Location: Pakkading, Borikhane Province, Laos 45364
|

Photographer: Xavier Gouverneur, Cerambycoidea Forum Collection Location: Laos 60085
|
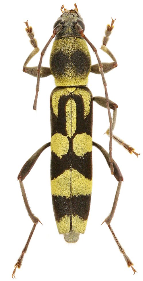
 Gressitt Rondon CPV Chaing Rai, Thailand.jpg)
Sex: m Institution: Viktora Collection Photographer: Petr Viktora Collection Location: Chiang Rai, Thailand 76605
|
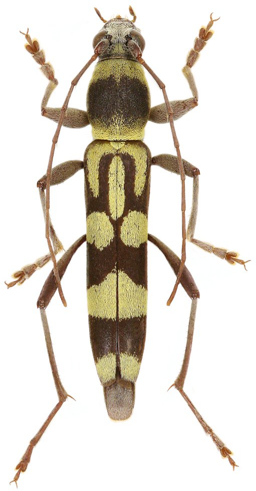
 Gressitt Rondon CPV Chiang Rai, Thailand.jpg)
Sex: f Institution: Viktora Collection Photographer: Petr Viktora Collection Location: Chiang Rai, Thailand 76606
|

Photographer: Meiying Lin 43057
|
|