New Search Family, Subfamily and Tribe List

SubFamily Cerambycinae

Tribe Clytini
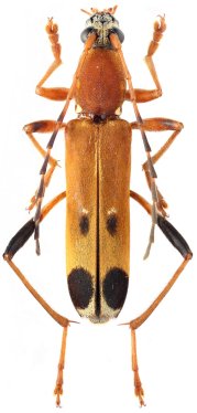
Rhaphuma placida Pascoe 1858

Institution: CAS California Academy of Sciences, San Francisco, CA, USA
Photographer: Larry G. Bezark
60083


Photographer: Max Smirnov, Cerambycoidea Forum
Collection Location: Lamphun, Thailand
60084

130425