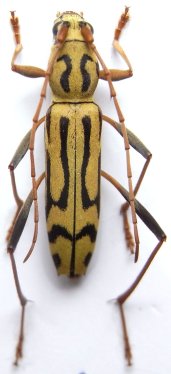
_Gressitt_Rond_BPBM_Nobuo_Ohbay.jpg)
Specimen Type: holotype Sex: m Institution: BPBM Bernice P. Bishop Museum, Honolulu, Hawaii, USA Photographer: Nobuo Ohbayashi Collection Location: Ton Pheng, Vientiane Province, Laos 45361
|
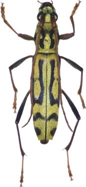
_CAS.jpg)
Specimen Type: paratype Institution: CAS California Academy of Sciences, San Francisco, CA, USA Photographer: Larry G. Bezark 60059
|

Photographer: Xavier Gouverneur, Cerambycoidea Forum Collection Location: Hua Phan, NE Laos 60060
|
_Gress_Rond_Viktora_coll_Mae_Hong_Son_Prov_NW_Thailand.jpg)
Sex: f Institution: Viktora Collection Determiner: Folia Heyrovskyana, Praha Collection Location: Mae Hong Son Province, NW Thailand 58805
|

Photographer: Meiying Lin 43050
|
|