
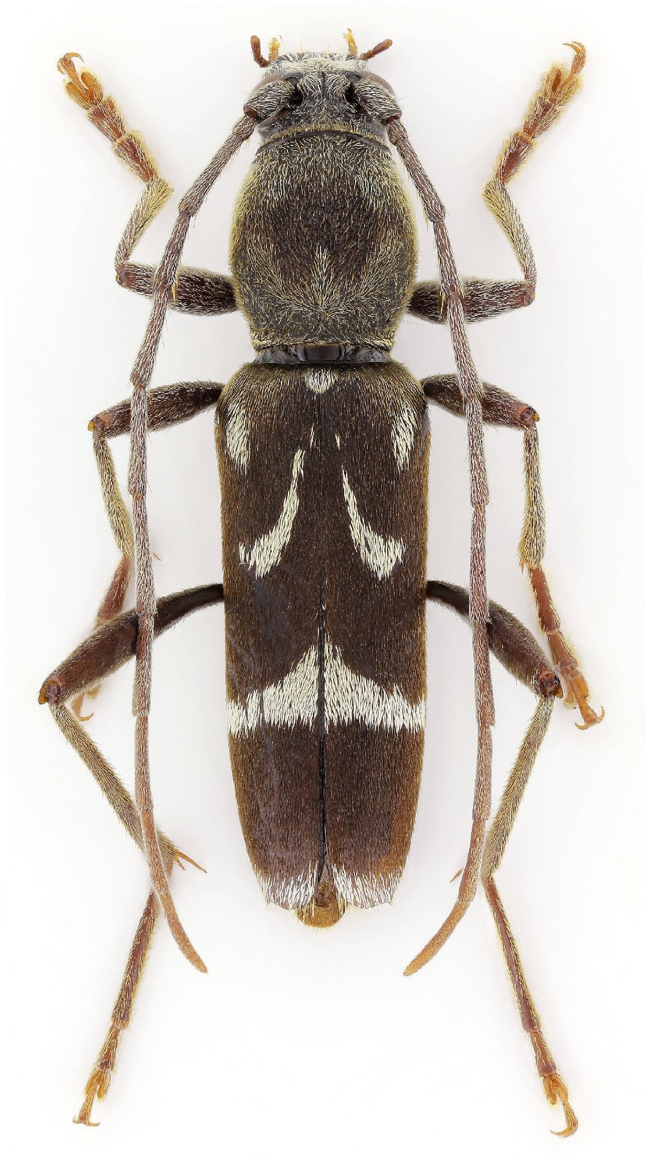
Institution: LGBC Larry G. Bezark Collection, Sacramento, California, USA Photographer: Larry G. Bezark Determiner: Francesco Vitali, Cerambycoidea Forum Collection Location: Chungnam, Keumsan, South Korea 50518
|

Institution: LGBC Larry G. Bezark Collection, Sacramento, California, USA Photographer: Larry G. Bezark Determiner: Francesco Vitali, Cerambycoidea Forum Collection Location: Chungnam, Keumsan, South Korea 50519
|

Institution: LGBC Larry G. Bezark Collection, Sacramento, California, USA Photographer: Larry G. Bezark 60034
|

Institution: LGBC Larry G. Bezark Collection, Sacramento, California, USA Photographer: Larry G. Bezark 60035
|
_Irkutsk_E_Siberia_Berlov.jpg)
Photographer: O. E. Berlov Collection Location: Irkutsk, Eastern Siberia 60036
|
_(Faldermann)_Irkutsk_E_Siberia_Berlov.jpg)
Photographer: O. E. Berlov Collection Location: Irkutsk, Eastern Siberia 60037
|
 Oblachnaya Mountain, South Sikhote-Alin range, Primorsky krai, Russian Far East Nav Hosko.jpg)
Photographer: Navratil & Hoskovec Collection Location: Oblachnaya Mtn, South Sikhote-Alin range, Primorsky krai, Russia (FE) 79990
|
 (Faldermann) Viktora.jpg)
Sex: m Photographer: Petr Viktora 90738
|
|