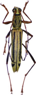
_Holzschuh_FBVA.jpg)
Specimen Type: holotype Sex: m Institution: Holzschuh Collection Collection Location: Chiang Rai, Wiang Pa Po, Thailand 60022
|
_Holzschuh_Mae_Hong_Son_Prov_Thailand_Viktora_pic.jpg)
Sex: m Institution: Viktora Collection Photographer: Petr Viktora Collection Location: Mae Hong Son Province, Thailand 75083
|