_Holzschuh_FBVA.jpg)
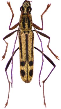
Specimen Type: holotype Sex: m Institution: Holzschuh Collection Determiner: Schrift. Forstlichen Bundesversuchsanstalt Collection Location: Chiang Mai, Doi Pui, Northern Thailand 60018
|

Institution: JCPC Jim Cope Collection, San Jose, California, USA now at CSCA, Sacramento Photographer: Larry G. Bezark Determiner: Ole Mehl Collection Location: Nan Area, Thailand 99716
|