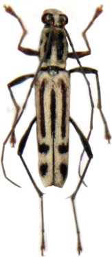
_Gressitt_Rond_BPBM_Nobuo_Ohbay.jpg)
Specimen Type: holotype Sex: m Institution: BPBM Bernice P. Bishop Museum, Honolulu, Hawaii, USA Photographer: Nobuo Ohbayashi Collection Location: Pakkading, Borikhane Province, Laos 45358
|

Photographer: Xavier Gouverneur, Cerambycoidea Forum Collection Location: Laos 60002
|

Institution: LGBC Larry G. Bezark Collection, Sacramento, California, USA Photographer: Larry G. Bezark Determiner: Jim Cope Collection Location: Chiang Mai, Thailand 60003
|

Photographer: Meiying Lin 43044
|
|