_Holz.jpg)
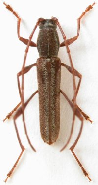
Specimen Type: holotype Sex: m Institution: Holzschuh Collection Photographer: Lubo Dembický Collection Location: Tangmai Valley, Xizang Province, China 59993
|
_Holzschuh_China_E-Tibet_SW_Tangmai.jpg)
Specimen Type: holotype Sex: m Institution: Holzschuh Collection Determiner: Entomologica Basiliensa Collection Location: Tangmai Valley, Xizang Province, China 59994
|