New Search Family, Subfamily and Tribe List

SubFamily Cerambycinae

Tribe Clytini
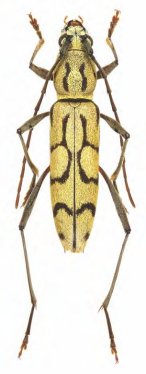
Rhaphuma circumscripta (Schwarzer, 1925)

Sex: f
Institution: Viktora Collection
Determiner: Folia Heyrovskyana, Praha
Collection Location: Sun Moon Lake, Taiwan
58798


Institution: LGBC Larry G. Bezark Collection, Sacramento, California, USA
Photographer: Larry G. Bezark
59992

130425