New Search Family, Subfamily and Tribe List

SubFamily Cerambycinae

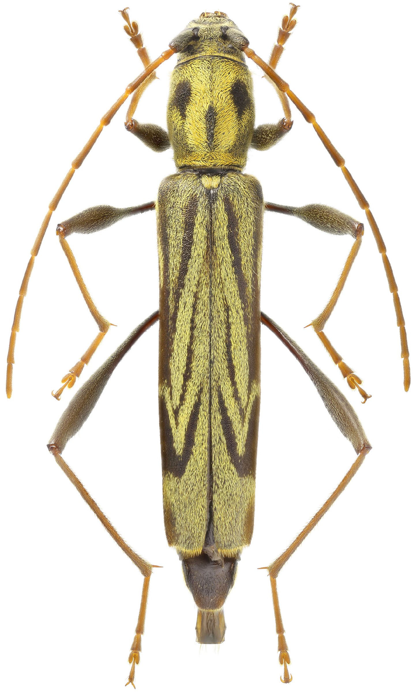
Tribe Clytini
Rhabdoclytus acutivittis acutivittis (Kraatz, 1879)

Photographer: Kirill V. Makarov
Collection Location: Listvennichnaya River, Primorsky krai, Russian Far East
79957


Institution: CAS California Academy of Sciences, San Francisco, CA, USA
Photographer: Larry G. Bezark
45369


Hayashiclytus acutivittis (Kraatz)
Photographer: Denis Kasatkin
Collection Location: Primorsky Region, Russia
50766

130425