
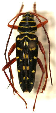
Clytus proxima Laporte & Gory Specimen Type: syntype Institution: BMNH British Museum Natural History, London, UK Photographer: Henry Hespenheide Collection Location: Brazil, Chevrolat Collection 15671
|
_Chevrolat_BMNH_Hespenheide_FTH_=_Megacyllene_proxima_Laporte_and_Gory.jpg)
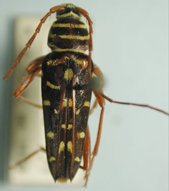
Cyllene elongata Chevrolat Specimen Type: syntype Institution: BMNH British Museum Natural History, London, UK Photographer: Henry Hespenheide Collection Location: vic Caracas, Venezuela 15949
|
_Chevrolat_BMNH_JAC_=_Megacyllene_proxima_(Laporte_and_Gory).jpg)
Cyllene elongata Chevrolat Specimen Type: syntype Institution: BMNH British Museum Natural History, London, UK Photographer: John Chemsak Collection Location: vic Caracas, Venezuela 15950
|
 Chevrolat BMNH vic Caracas, Venezuela now Mega prox Moure.jpg)
Cyllene elongata Chevrolat Specimen Type: syntype Institution: BMNH British Museum Natural History, London, UK Photographer: JS Moure Collection Location: Caracas, Venezuela 100874
|
_Paraguay_Dep_Caazapa_Mehl.jpg)
Photographer: Ole Mehl Collection Location: Department Caazapa, Paraguay 36820
|
_(Laporte)_MZSP_SS.jpg)
Sex: m Institution: MZSP Museu de Zoologia da Universidade de São Paulo, Brazil Photographer: Antonio Santos-Silva 68685
|
_(Laporte)_MZSP_SS.jpg)
Sex: f Institution: MZSP Museu de Zoologia da Universidade de São Paulo, Brazil Photographer: Antonio Santos-Silva 68686
|
_CAS.jpg)
Institution: CAS California Academy of Sciences, San Francisco, CA, USA Photographer: Larry G. Bezark 9835
|
_Det_Martins_MZSP_SWL_Bolivia.jpg)
Institution: MZSP Museu de Zoologia da Universidade de São Paulo, Brazil Photographer: Steve Lingafelter Determiner: Martins Collection Location: Bolivia 9836
|
_Det_Monne_Brazil_UCB.jpg)
Institution: UCB Essig Museum of Entomology, Berkeley, California, USA Photographer: Larry G. Bezark Determiner: Monne Collection Location: Brazil 9837
|