
Photographer: Meiying Lin 43003
|

Institution: LGBC Larry G. Bezark Collection, Sacramento, California, USA Photographer: Larry G. Bezark Collection Location: Ban Panghai, Xaignabouri Province, Laos 52405
|

Institution: LGBC Larry G. Bezark Collection, Sacramento, California, USA Photographer: Larry G. Bezark Collection Location: Ban Panghai, Xaignabouri Province, Laos 52406
|
_Gahan_Laos_Xavier.jpg)
Sex: f Photographer: Xavier Gouverneur, Cerambycoidea Forum Collection Location: Laos 56421
|
_Gahan_Laos_Xavier.jpg)
Sex: m Photographer: Xavier Gouverneur, Cerambycoidea Forum Collection Location: Laos 56422
|

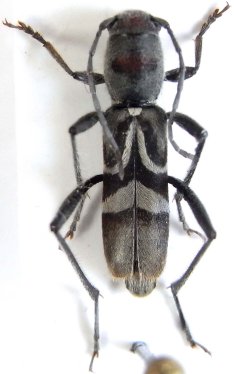
Sex: m Institution: CAS California Academy of Sciences, San Francisco, CA, USA Photographer: Larry G. Bezark 56423
|
|