New Search Family, Subfamily and Tribe List

SubFamily Cerambycinae

Tribe Clytini
Perissus multifenestratus (Pic, 1926)

Amauresthes multifenestratus Pic
Specimen Type: holotype
Institution: holotype © MNHN
Photographer: Xavier Gouverneur
Collection Location: China
76881


Amauresthes multifenestratus Pic
Specimen Type: holotype
Institution: holotype © MNHN
Photographer: Xavier Gouverneur
Collection Location: China
76882


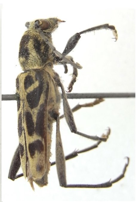
Amauresthes multifenestratus Pic
Specimen Type: holotype
Institution: holotype © MNHN
Photographer: Xavier Gouverneur
Collection Location: China
76883


Sex: m
Photographer: Meiying Lin
Collection Location: Qinling Mountains, China
73412

130425