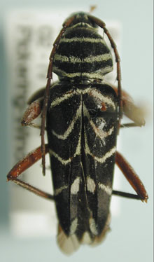
 Bates BMNH Bugaba, Chiriqui, Panama now Megacyllene Moure.jpg)
Cyllene panamensis Bates Specimen Type: holotype Institution: BMNH British Museum Natural History, London, UK Photographer: JS Moure Collection Location: Bugaba, Chiriqui, Panama 15957
|
_Bates_BMNH_JAC_=_Megacyllene.jpg)
Cyllene panamensis Bates Specimen Type: holotype Institution: BMNH British Museum Natural History, London, UK Photographer: John Chemsak Collection Location: Bugaba, Chiriqui, Panama 15958
|

Institution: UCB Essig Museum of Entomology, Berkeley, California, USA Photographer: Larry G. Bezark Determiner: Wappes Collection Location: Barro CoIorado Island, Panama 9829
|
|