_Holzschuh_N_Iran_Elburz_Golestan_Forest.jpg)
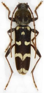
Isotomus comptus maculicollis Holzschuh Specimen Type: holotype Sex: m Institution: Holzschuh Collection Determiner: Koleopterologische Rundschau, Wien Collection Location: Golestan Forest, Elburz, Northern Iran 51345
|
_Holzschuh_N_Iran_Elburz_Golestan_Forest.jpg)
Isotomus comptus maculicollis Holzschuh Specimen Type: paratype Sex: m Institution: Holzschuh Collection Determiner: Koleopterologische Rundschau, Wien Collection Location: Golestan Forest, Elburz, Northern Iran 51346
|