_Holzschuh_FBVA.jpg)
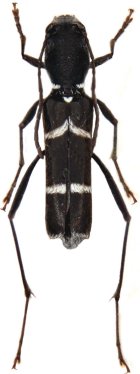
Specimen Type: holotype Sex: f Institution: Holzschuh Collection Determiner: Schrift. Forstlichen Bundesversuchsanstalt Collection Location: Chiang Rai, Wiang Pa Pao, Thailand 51300
|

Photographer: Andre Skale, Cerambycoidea Forum Collection Location: Cao Bang Province, Vietnam 51301
|