
Institution: JCPC Jim Cope Collection, San Jose, California, USA now at CSCA, Sacramento Photographer: Larry G. Bezark Determiner: Jim Cope Collection Location: Juizhaigao, Sichuan, China 99009
|
_Mitono_Qinling_Mtns_China.jpg)
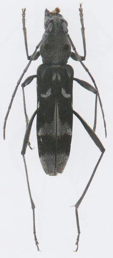
Sex: m Photographer: Meiying Lin Collection Location: Qinling Mountains, China 73345
|