_Prosen_MNRJ_SWL_=_Megacyllene_mellyi_(Chevrolat).jpg)
Cyllene castroi Prosen Specimen Type: cotype Sex: f Institution: MNRJ Museu Nacional Universidade do Rio Janeiro, Brazil Photographer: Steve Lingafelter Collection Location: Villa Union, Santiago del Estero, Argentina 9786
|
.jpg)
Cyllene castroi Prosen Specimen Type: cotype Sex: f Institution: MNRJ Museu Nacional Universidade do Rio Janeiro, Brazil Photographer: Steve Lingafelter Collection Location: Villa Union, Santiago del Estero, Argentina 9787
|
_Monne_and_Napp_Rev_Bras_Ent.jpg)
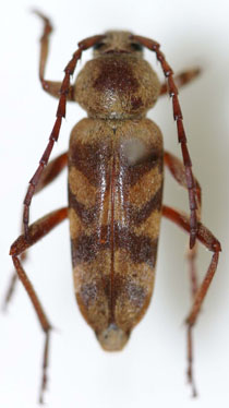
Cyllene castroi Prosen Specimen Type: cotype Sex: f Institution: MNRJ Museu Nacional Universidade do Rio Janeiro, Brazil Collection Location: Villa Union, Santiago del Estero, Argentina 22077
|
_Di_Iorio_CODI_Villa_Regina_RioNegro_Arg_=_castroi.jpg)
Megacyllene cryptofasciata Di Iorio Specimen Type: holotype Sex: f Institution: CODI Collection of Oswald Di Iorio Collection Location: Villa Regina, Rio Negro, Argentina 30637
|

Institution: NMNH United States National Museum, Washington, DC, USA Photographer: Larry G. Bezark Determiner: Wappes Collection Location: Villa Regina, Rio Negro, Argentina 26128
|

Institution: NMNH United States National Museum, Washington, DC, USA Photographer: Larry G. Bezark Determiner: Wappes Collection Location: Villa Regina, Rio Negro, Argentina 26129
|

Institution: NMNH United States National Museum, Washington, DC, USA Photographer: Larry G. Bezark Determiner: Wappes Collection Location: Villa Regina, Rio Negro, Argentina 26130
|

Institution: NMNH United States National Museum, Washington, DC, USA Photographer: Larry G. Bezark Determiner: Wappes Collection Location: Villa Regina, Rio Negro, Argentina 26131
|
|