_Guo_Chen_SAUC_Xiangguo_Longjiang_Yunnan_China_Li_Chen_pic.jpg)
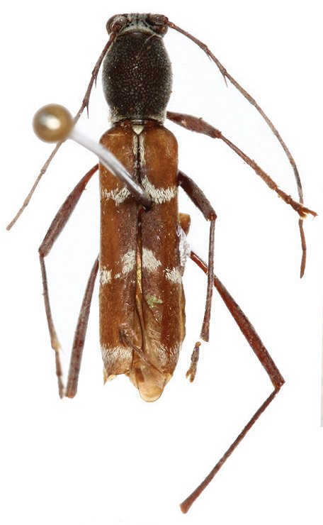
Specimen Type: holotype Sex: f Institution: SAUC Insect Collection of the Southwest Agricultural University, Chongqing, China Photographer: Li & Chen Collection Location: Xiangguo, Longjiang, Yunnan Province, China 70467
|
_Guo_Chen_SAUC_Xiangguo_Longjiang_Yunnan_China_Li_Chen_pic.jpg)
Specimen Type: holotype Sex: f Institution: SAUC Insect Collection of the Southwest Agricultural University, Chongqing, China Photographer: Li & Chen Collection Location: Xiangguo, Longjiang, Yunnan Province, China 70468
|