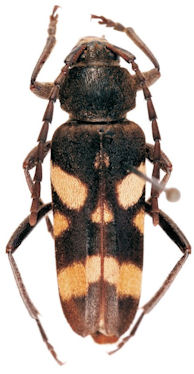
_Tippmann_Bolivia_USNM_SWL_=_Megacyllene_mellyi_(Chev).jpg)
Megacyllene mellyi ab. modesta Tippmann Specimen Type: holotype Institution: NMNH United States National Museum, Washington, DC, USA Photographer: Steve Lingafelter Collection Location: Cochabamba, Bolivia 9817
|
_Chevrolat_BMNH_JAC_=_Megacyllene.jpg)
Cyllene mellyi Chevrolat Specimen Type: syntype Institution: BMNH British Museum Natural History, London, UK Photographer: John Chemsak Collection Location: Bahia, Rio Grande do Sul, Brazil 15954
|