_Holzschuh_FBVA_84.jpg)
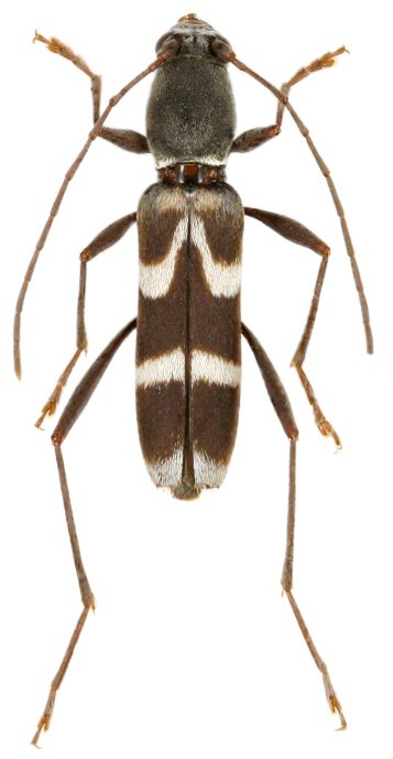
Specimen Type: holotype Sex: f Institution: Holzschuh Collection Determiner: Schrift. Forstlichen Bundesversuchsanstalt Collection Location: 100 km W of Kunming, Diaolin Nat Reserve, Yunnan, China 36982
|
_Holzschuh_Diaolin_Nature_Reserve_Yunnan_China_Viktora_coll.jpg)
Sex: m Institution: Viktora Collection Photographer: Petr Viktora Collection Location: Diaolin Nature Reserve, Yunnan Province, China 75065
|