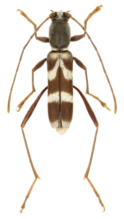
_Holz.jpg)
Specimen Type: holotype Sex: m Institution: Holzschuh Collection Photographer: Dan Heffern Collection Location: Abazhou, Nanping, Jiuzhaigou, Sichuan, China 36979
|
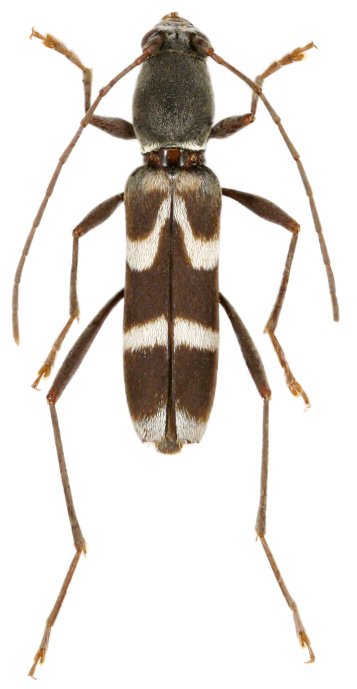
_Holzschuh_China_Sichuan_Abazhou_Nanping_Jiuzhaigou.jpg)
Specimen Type: holotype Sex: m Institution: Holzschuh Collection Determiner: Schrift. Forstlichen Bundesversuchsanstalt Collection Location: Abazhou, Nanping, Jiuzhaigou, Sichuan, China 36978
|
_Holzschuh_Juizhaigou_Sichuan_Province_China_Viktora.jpg)
Sex: m Institution: Viktora Collection Photographer: Petr Viktora Collection Location: Juizhaigou, Sichuan Province, China 75063
|
_Holzschuh_Juizhaigou_Sichuan_Province_China_Viktora_coll_pic.jpg)
Sex: f Institution: Viktora Collection Photographer: Petr Viktora Collection Location: Juizhaigou, Sichuan Province, China 75064
|

Institution: LGBC Larry G. Bezark Collection, Sacramento, California, USA Photographer: Larry G. Bezark Collection Location: Jiuzhaigao, Sichuan, China 49344
|
|