New Search Family, Subfamily and Tribe List

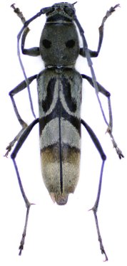
SubFamily Cerambycinae

Tribe Clytini
Demonax occultus Gressitt & Rondon 1970

Specimen Type: holotype
Sex: f
Institution: BPBM Bernice P. Bishop Museum, Honolulu, Hawaii, USA
Photographer: Nobuo Ohbayashi
Collection Location: Xieng Khouang Region, Laos
43346


Photographer: Meiying Lin
41931

130425