New Search Family, Subfamily and Tribe List

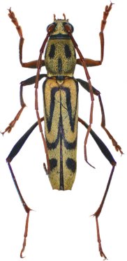
SubFamily Cerambycinae

Tribe Clytini
Demonax literatus literatus Gahan 1894

Institution: NMNH United States National Museum, Washington, DC, USA
Photographer: Steve Lingafelter
Collection Location: Phja-Den, Cao Bang Province, Vietnam
37725


Photographer: Meiying Lin
41929

130425